Description
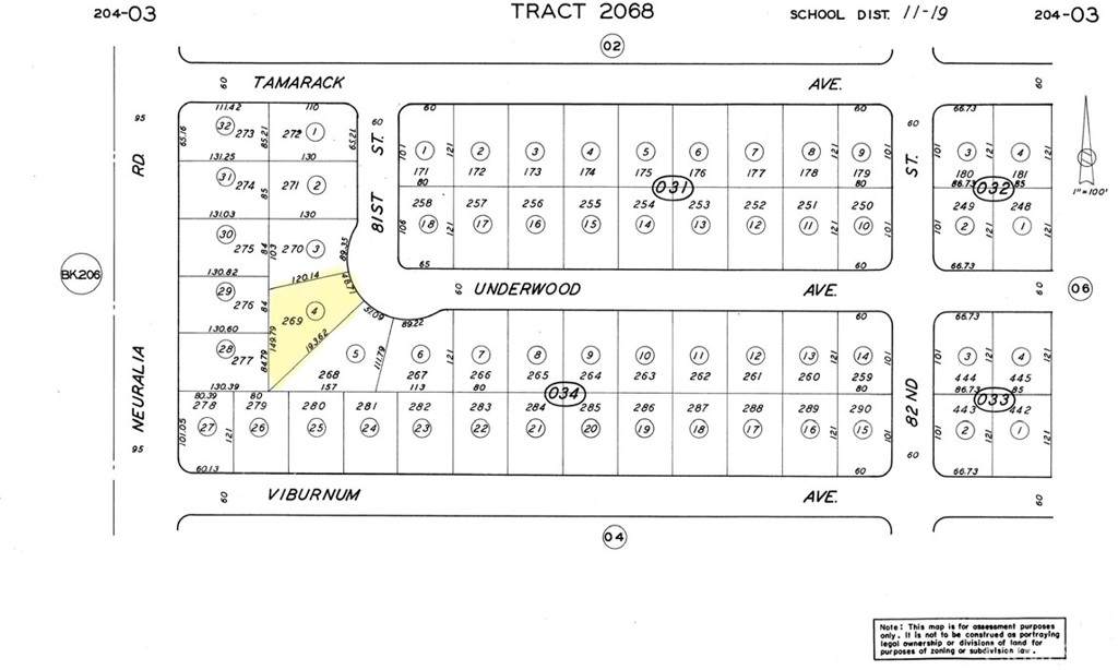
R1 Zoned .30 acres of Vacant land in a developed part of California City. The adjoining parcel (.25 acres APN- 204-034-03-00-2) is also available for sale and separately listed bringing the total of both lots if purchased to .55 Acres. This could be a nice opportunity to build a larger home for the right buyer. Land is flat and useable just off the city street. Houses exist behind this lot, and to the right of it, which could be a strong indicator that utilities may possibly be available. Buyers verify availability of water, power, and sewer.
-
0BEDS
-
0.3ACRES
-
0BATHS
-
01/2 BATHS
School Ratings & Info
Description
R1 Zoned .30 acres of Vacant land in a developed part of California City. The adjoining parcel (.25 acres APN- 204-034-03-00-2) is also available for sale and separately listed bringing the total of both lots if purchased to .55 Acres. This could be a nice opportunity to build a larger home for the right buyer. Land is flat and useable just off the city street. Houses exist behind this lot, and to the right of it, which could be a strong indicator that utilities may possibly be available. Buyers verify availability of water, power, and sewer.
Based on information from California Regional Multiple Listing Service, Inc. as of 2025-11-15T00:31:55.043. This information is for your personal, non-commercial use and may not be used for any purpose other than to identify prospective properties you may be interested in purchasing. Display of MLS data is deemed reliable but is not guaranteed accurate by the MLS or American Real Estate List & Sell. Licensed in the State of California, USA.
